| ID # | 922109 |
| Detalji nekretnine | eksterijer: 0.11 jutara (DOM): 73 days |
| Porezi (godišnje) | $2,012 |
![]() |
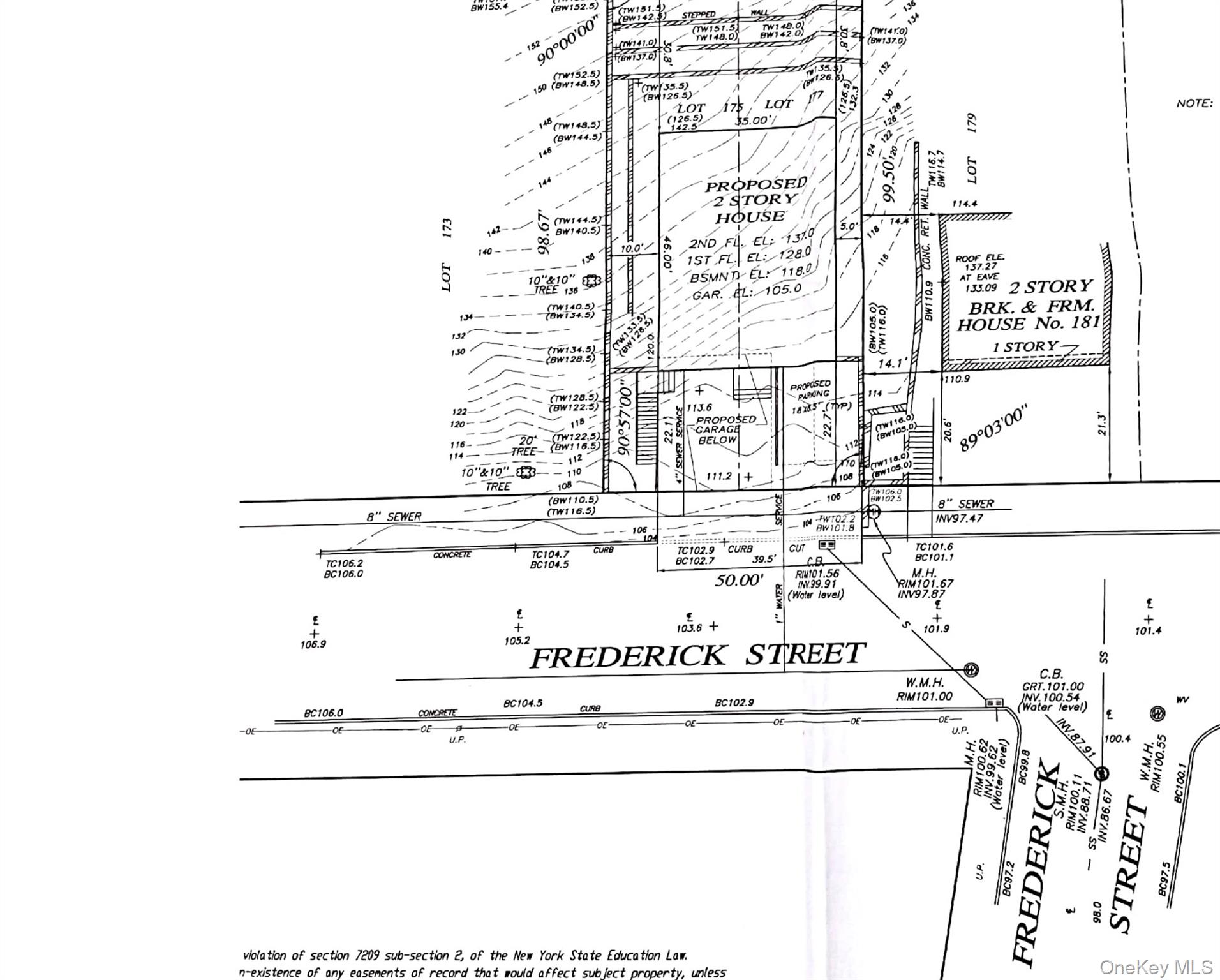
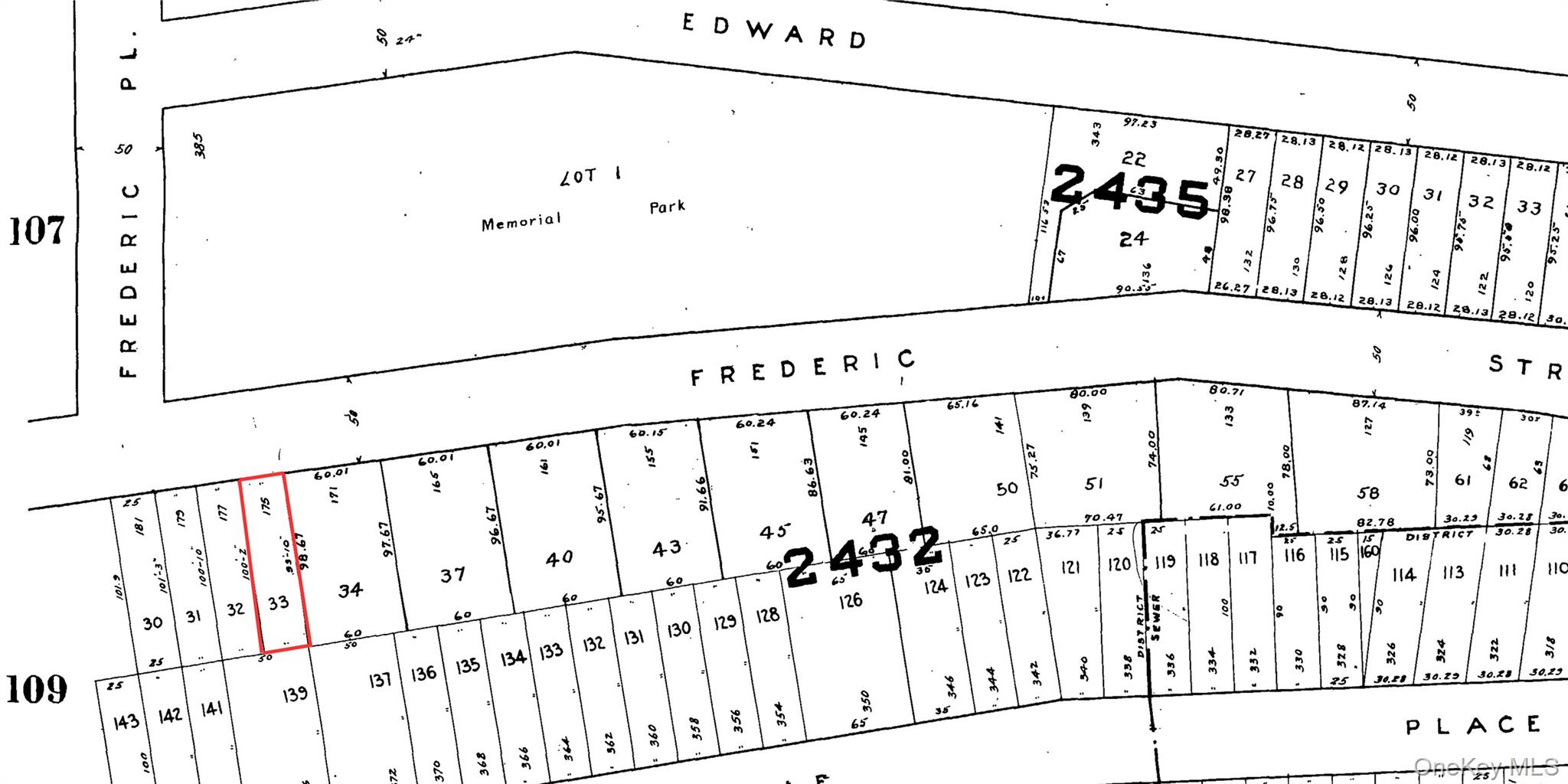
Ova parcela od 0,11 hektara smještena je neposredno nasuprot parka i udaljena je nekoliko minuta hoda od škola i javnog prijevoza. Planirana je za dvostranu upotrebu, a ova nekretnina nudi sjajnu priliku za investitore, graditelje ili buduće vlasnike kuća. Infrastruktura je dostupna za priključak. Geodetski elaborat i uzorci planova za kuću sa 3 spavaće sobe iznad kuće sa 3 spavaće sobe dostupni su na zahtjev. Nalazi se u blizini trgovina, restorana i glavnih prometnica. Ne propustite ovu priliku za izgradnju u dobro uspostavljenom naselju s jakim potencijalom za najam ili preprodaju.
This 0.11-acre hilly lot is situated directly across from the park and is within walking distance to schools and public transportation. Zoned for two-family use, this property offers a great opportunity for investors, builders, or future homeowners.
Utilities are available for hookup. Survey and sample plans for a 3-bedroom over 3-bedroom two-family home are available upon request.
Located near shops, dining, and major roadways. Don’t miss this chance to build in a well-established neighborhood with strong rental or resale potential. © 2025 OneKey™ MLS, LLC







